Vliegtijd & gedrag
Verspreiding in Nederland
Trends
Levenscyclus
De larven overwinteren gemiddeld waarschijnlijk drie keer. Uitsluipen gebeurt vanaf eind mei tot in juli. Larvenhuidjes zijn vaak te vinden in dichte pollen zeggen of in opgaande overvegetatie tot maximaal enkele decimeters hoog. Het wijfje zet de eieren af met een slaande beweging van het achterlijf op de wateroppervlakte om zo de eieren, meestal in klonten, kwijt te raken.
Herkenning
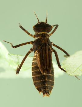
Kenmerken
Lengte: 45-54 mm. Achterlijf zeer donker glimmend groen, meestal zwart lijkend. Borststuk metaalgroen met gouden glans. Ogen eerst dofbruin, later felgroen glimmend, sterk contrasterend met het donkere achterlijf. Beide geslachten echter goed te herkennen aan de rij gele vlekjes aan de zijkant van het achterlijf. Voorhoofd met gele tekening. - Mannetjes: achterlijf vrij slank, met insnoering ter hoogte van segment 3. Breedste punt van achterlijf ter hoogte van segment 6 en 7. Gele zijvlekjes op het achterlijf klein en vaak in vlucht moeilijk zichtbaar. Aan de basis van het achterlijf echter opvallender. - Vrouwtje: zijvlekjes groter en ook in vlucht opvallend; achterlijf in zijaanzicht grotendeels geel. Korte, maar afstaande legschede.
Gelijkende soorten
Gelijkende soorten: Smaragdlibel, hoogveenglanslibel en metaalglanslibel. Meer over gelijkende soorten: De gevlekte glanslibel is de enige glanslibel met een rij gele vlekjes langs de zijkant van het achterlijf. Achterlijfskleur van smaragdlibel en metaalglanslibel is minder zwart (meer brons of groen). Mannetjes smaragdlibel zijn minder slank en hebben het breedste punt van het achterlijf meer naar achteren liggen. Mannetjes hoogveenglanslibel zijn juist iets slanker. Vrouwtjes gevlekte glanslibel zijn door de grote gele vlekken aan de zijkant van het achterlijf eigenlijk onmiskenbaar.
Uiterlijk van de larve
Lengte: 19 - 22 mm.Een kleine larve met opvallende rugdoornen en ook goed zichtbaar zijn de lange zijdoornen op segment 9. De larvenhuidjes zijn meestal donker van kleur. Meestal geen donkere band op de zijkant van het borststuk.
Verwarring met andere larven
Er kan verwarring optreden met de smaragdlibel maar deze heeft minder opvallende (kleinere) rugdoornen en een opvallende donkere band op de zijkant van het borststuk. Ook is verwarring mogelijk met de metaalglanslibel deze soort heeft kleinere zijdoornen op segment 9 en is gemiddeld iets groter. Ook kan de tweevlek tot verwarring leiden maar deze heeft opvallende doornen op het occiput.
Foto's
Larve
Libel
Verspreiding
Vliegtijd en gedrag
Van eind april tot eind augustus, hoogste aantallen in juni en juli. Gevlekte glanslibellen worden vrijwel altijd vliegend boven land gezien en lijken dan geen binding te hebben met het voortplantingswater. Vrijwel alle waarnemingen zijn van mannetjes die op enkele meters hoogte heen en weer vliegen langs bosranden, boven open plekken in bos en boven sterk begroeide sloten. In het laatste geval is het onduidelijk of in de sloten ook voortplanting plaatsvindt. Vrouwtjes worden zelden gezien en vrijwel altijd in paring met een mannetje. Ei-afzet wordt zelden waargenomen en gebeurt op goed verborgen plaatsen in sterk begroeide en vaak moeilijk toegankelijke wateren.
Mobiliteit
Zeer mobiel. Zwervers zijn veelvuldig waargenomen.
Regionaal
Vooral in de laagveengebieden van Noord-Nederland, de Kempen in Noord-Brabant en Midden-Limburg. Recent ook enkele waarnemingen in de duinen en in de Achterhoek. De gevlekte glanslibel duikt de laatste jaren op steeds meer plaatsen in Nederland op.
Europa
Midden- en Noordoost-Europa en de zuidelijke helft van Scandinavië. Sterk verbrokkeld verspreidingsgebied in Zuidoost-Europa. Niet op het Iberisch Schiereiland en de Britse Eilanden.
Mondiaal
Oostelijk tot in Mongolië.