Toggle navigation
Home
Vlinders
Libellen
Help mee
Wat wij doen
Actueel
Service en Vragen
Zoeken
Zoek
paardenbijter
Aeshna mixta
Home
Libellen
Alle libellen
paardenbijter
Aeshna mixta
Imago
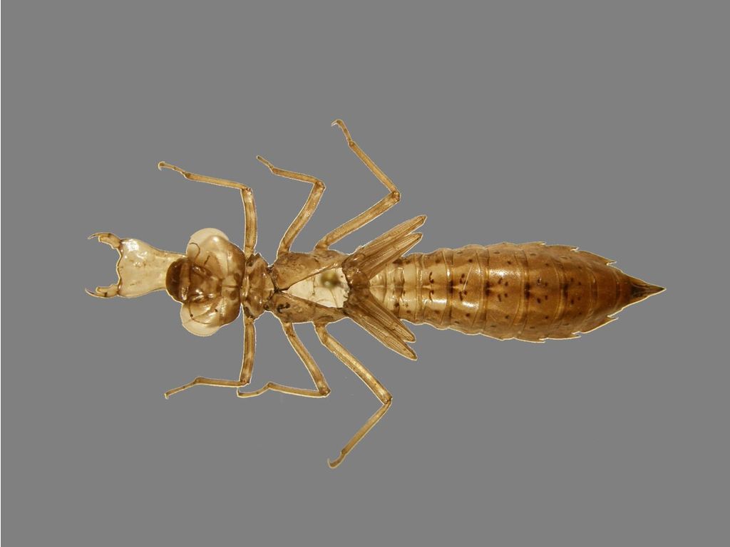
Larve
Larvenhuidje
Habitat
Meer info over deze soort