Toggle navigation
Home
Vlinders
Libellen
Help mee
Wat wij doen
Actueel
Service en Vragen
Zoeken
Zoek
koningspage
Iphiclides podalirius
Home
Vlinders
Alle vlinders
koningspage
Iphiclides podalirius
Imago
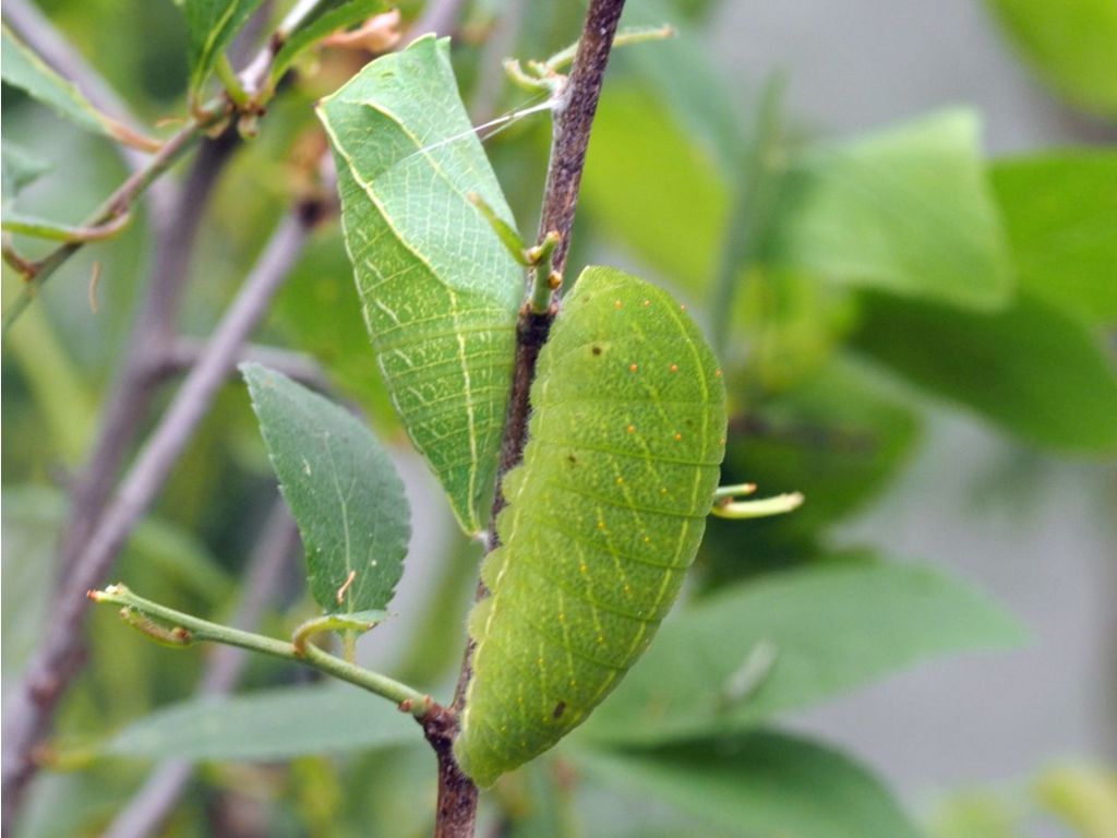
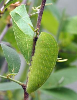
Rups
Ei
Pop
Museum
Meer info over deze soort