Vliegtijd & gedrag
Eind juli-eind september in één generatie. De mannetjes voeden zich vooral met honingdauw; de vrouwtjes hebben ook nectar nodig van o.a. guldenroede en koninginnenkruid/leverkruid voor ontwikkeling van de eitjes. De mannetjes scholen samen in de kruinen van vrijstaande bomen (de ontmoetingsbomen) en maken van daaruit korte, dwarrelende vluchten. Ook de vrouwtjes komen na ontpopping naar deze bomen. Doordat de vlinders veel boven in de bomen leven, worden ze slechts weinig gezien.
Verspreiding in Nederland
Trends
De grafiek toont de veranderingen van de talrijkheid in de loop van de tijd. De gegevens zijn afkomstig uit het Landelijk Meetnet Vlinders (CBS / De Vlinderstichting) en de Nationale Databank Flora en Fauna.
Levenscyclus
Rups: april-juli. Jonge rupsen eten van het binnenste van een bladknop, grotere rupsen eten van de bladeren. De verpopping vindt plaats in de strooisellaag. De soort overwintert als ei. De eitjes zijn wit en plat en hebben een ribbelpatroon: een soort golfballetje. Ze zijn vooral in de winter en het vroege voorjaar te vinden op de grens van oud en jong hout in de oksels van sleedoorntakken.
ei-afzet
Bij de ei-afzet gaat het vrouwtje behoedzaam te werk. Ze loopt over de jonge takken en tast verscheidene plekjes af. Zij zet één - een enkele keer twee of drie - eitje af in de oksel van een doorn- of tak op de overgang van ouder naar jonger hout, vrijwel altijd aan de zonnige zuidzijde van het struweel. Hierbij gaat de voorkeur uit naar twee- of driejarig hout. Als het eitje is afgezet, zet het vrouwtje enkele centimeters verder opnieuw een eitje af. Gemiddeld legt ze maar vijf eitjes per dag. De volgende dag begint ze op een andere plek, waardoor de eitjes over een groter gebied verspreid worden. Waarnemingen van meer dan tien eitjes in een tak-oksel zijn uitzonderlijk. De eitjes overwinteren en komen rond april uit, juist op het moment dat een groot deel van de knoppen open gaan.
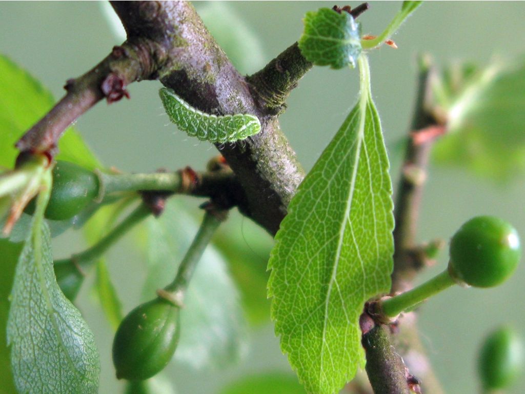
Rups en verpopping
De rupsjes eten slechts een gaatje in het eitje waardoor uitgekomen eitjes nog enige tijd zichtbaar blijven. Jonge rupsen voeden zich aanvankelijk met het binnenste van een bladknop; zodra deze openspringt, kruipt het rupsje naar binnen. Later leven ze ook buiten de knoppen en eten van de bladeren. Zij zijn dan vooral ´s nachts actief, overdag verbergen ze zich aan de onderkant van de bladeren. Rupsen scheiden een zoete stof af en worden soms bezocht door mieren. Rupsen die tussen de bladeren leven zijn groen. Een rups die gaat verpoppen wordt bruin, waardoor zijn kleur overeenkomt met die van het schors en het strooisel. De rups verpopt in de strooisellaag, meestal in juli. Daarnaast zijn er wel eens poppen gevonden in nesten van schubmieren van het genus Lasius.
vlinders
Vanaf eind juli vliegen de vlinders. Het aantal individuen op de vliegplaatsen is gemiddeld, circa 4 individuen per hectare. De vlinders voeden zich vooral met honingdauw soms met nectar van bijvoorbeeld koninginnenkruid en guldenroede. De vlinders in jaren met weinig honingdauw gebruiken meer nectar van bloemen. Dan kan het voorkomen dat een sleedoornpage uren achtereen wordt waargenomen, bijvoorbeeld op een guldenroede in een tuin. De vlinders zijn gevoelig voor extreme weersomstandigheden, zowel langdurig koel als aanhoudend warm en droog weer. Zij zijn actief wanneer het warmer is dan 20° maar rusten als de temperatuur boven de 30° komt. Mannetjes scholen samen in kruinen van vrijstaande bomen en maken van hieruit korte, dwarrelende vluchten. De wetenschappelijke naam (T. betulae) en de oude Nederlandse naam ‘berkepage’ hebben waarschijnlijk betrekking op zo´n ontmoetingsboom (een berk, maar ook eik) en zeker niet op de waardplant. Vrouwtjes ontpoppen zich enkele tot wel 10 dagen later dan mannetjes (Jans, 1981). Ze vliegen daarna vrij snel naar zo´n ontmoetingsboom. Zonder voorafgaande baltsvlucht vindt de paring boven in de boom plaats."
Herkenning
Kenmerken vlinder
Voorvleugellengte: circa 17 mm. De bovenkant van de vleugels is donkerbruin; bij het vrouwtje bevindt zich op de voorvleugel een grote opvallende, niervormige oranje vlek. De onderkant van de vleugels is lichtbruin tot oranje met een oranje band over de achtervleugel. Aan de achtervleugel bevindt zich een vrij groot, opvallend staartje.
Kenmerken rups
Tot 18 mm; vrij breed en plomp, naar de uiteinden afgeplat, sterk ingesneden tussen de segmenten; lichaam groen, tussen de segmenten witachtige insnijdingen; over de rug lopen twee geelachtig witte strepen die naar de kop uiteenlopen; op de flanken een aantal schuine, geelachtig witte strepen; kop zwartachtig bruin, in het lichaam teruggetrokken.
Foto's
Ei-afzet
Rups
Pop
Vlinder
Museum
Verspreiding
Zeldzaamheid
Een lokale standvlinder die voorkomt op een aantal locaties in Overijssel, langs de randen van de Veluwe, op een paar plekken in de provincie Utrecht, op een enkele locatie in Noord-Brabant en in Zuid-Limburg. De vlinder is beschermd in het kader van de Wet natuurbescherming.
Mobiliteit
De sleedoornpage staat bekend als een weinig mobiele vlinder die zelden verder vliegt dan enkele honderden meters langs een bosrand of struweel. Wel kunnen vrouwtjes wat grotere afstanden afleggen op zoek naar geschikte plaatsen om eitjes af te zetten. Doordat deze vlinder relatief lang leeft, kunnen zo toch nog flinke afstanden worden afgelegd. Zo koloniseert de soort nog regelmatig nieuwe locaties.
Regionaal
Verspreiding voor 1980In Nederland kwam de sleedoornpage aan het begin van de 20e eeuw verspreid voor in Limburg, Noord-Brabant, Zuid-Beveland, Gelderland, Drenthe, Overijssel en de Utrechtse Heuvelrug. Het verspreidingsgebied is tussen 1910 en 1920 aanzienlijk afgenomen; in de periode tussen 1920 en 1950 bleef het min of meer stabiel maar tussen 1960 en 1980 slonk het opnieuw. In die periode is de soort uit Drenthe, Overijssel, Brabant en de kustprovincies nagenoeg verdwenen.Verspreiding na 1980In 1980 resteerden er nog enkele vliegplaatsen langs de Veluwerand, de Utrechtse heuvelrug en nabij Ommen (OV). Alleen in Zuid-Limburg waren toen nog diverse, dicht bij elkaar gelegen populaties te vinden. Vanaf 1985 werd de soort echter weer vaker waargenomen, vooral in het stedelijk gebied. De soort breidde zich met name uit in parken en tuinen, zoals in Zwolle, Steenwijk (OV) en aan de zuid- en oostrand van de Veluwe. Overigens wordt deze vermeende toename mede veroorzaakt door een sterk verbeterde zoekmethode; het is nu bekend dat de sleedoornpage het beste kan worden geïnventariseerd door in de winter naar de eitjes te zoeken. Op dit moment komt de sleedoornpage voor in en rond Wolvega, Steenwijk, Zuidwolde, Ommen, Zwolle en van hieruit langs de rand van de Veluwe (maar niet overal!) via Apeldoorn en Doesburg naar Arnhem (inclusief Arnhem Zuid en tot in Zevenaar), Wageningen en Ede. In Utrecht in de Elzenbossen bij Wijk bij Duurstede en in Rhenen, Veenendaal, Amersfoort, Soest en Hilversum. In het Rijk van Nijmegen een paar jaar in de Ooijpolder en Millingerwaard, maar deze plekken lijken weer verlaten. In Noord-Brabant alleen bij Cuyk. In Zuid-Limburg op de Sint-Pietersberg en in het zuidoostelijke deel.
Europa
Op Europese schaal is de soort niet bedreigd en over het algemeen is het voorkomen stabiel. Wel wordt uit elf van de 36 landen waar de soort voorkomt een achteruitgang gemeld. De sleedoornpage staat op de Vlaamse en Britse Rode Lijst.
Mondiaal
De sleedoornpage komt voor van Ierland tot Oost-Azië en van Midden-Scandinavië en Noord-Spanje, Midden-Italië en de Balkan.